Sorbisch-Übersetzung via Sotra: Erstübersetzung dauert 1–2 Min. (Limit bei Überlänge)

Verlängerung der Veränderungssperre für das Gebiet des Bebauungsplanes „Wohngebiet Siedlerstraße, Groß Gaglow“

Zur Sicherung der verbindlichen Bauleitplanung im Geltungsbereich des Bebauungsplanes „Wohngebiet Siedlerstraße, Groß Gaglow“ hat die Stadtverordnetenversammlung der Stadt Cottbus/Chóśebuz in ihrer Sitzung am 30.04.2025 auf Grundlage von § 17 Abs. 1 Satz 3 BauGB die Verlängerung der Veränderungssperre um ein Jahr beschlossen.

Die Satzung über die 1. Verlängerung der Veränderungssperre tritt mit Bekanntmachung des Beschlusses in Kraft.

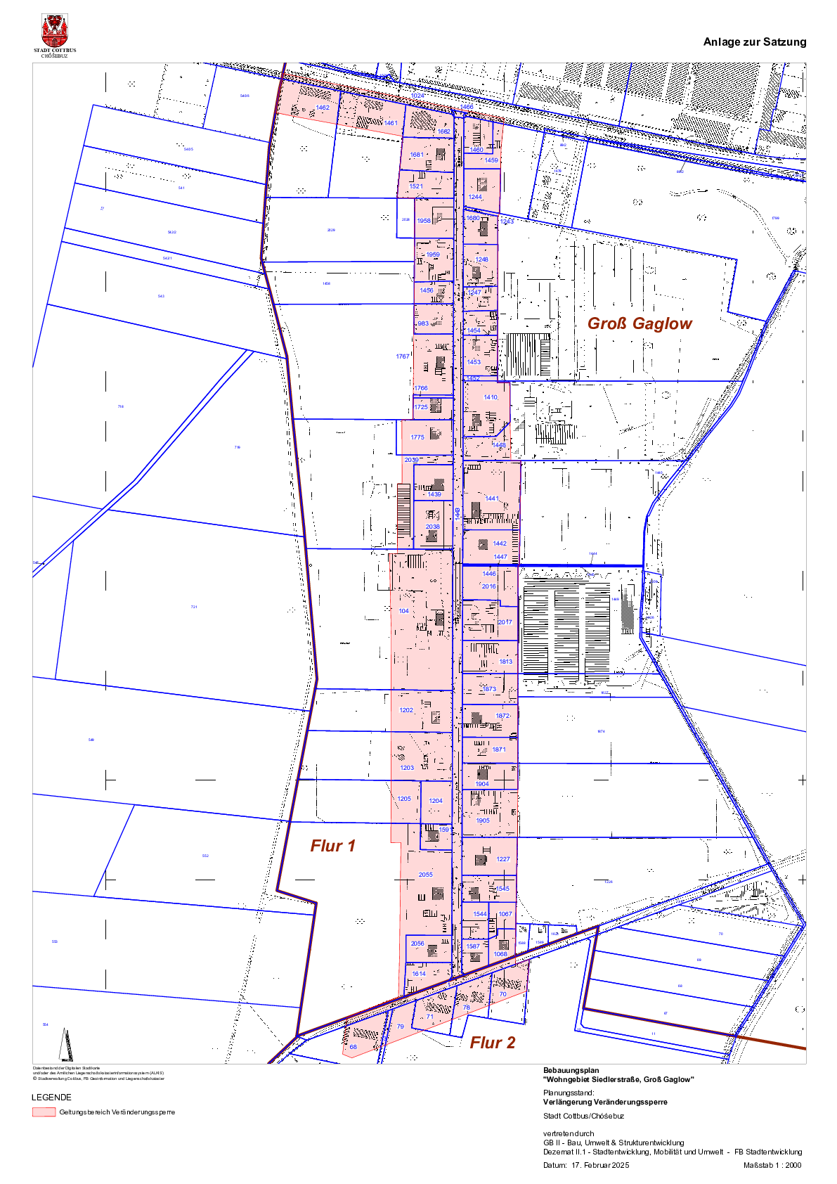
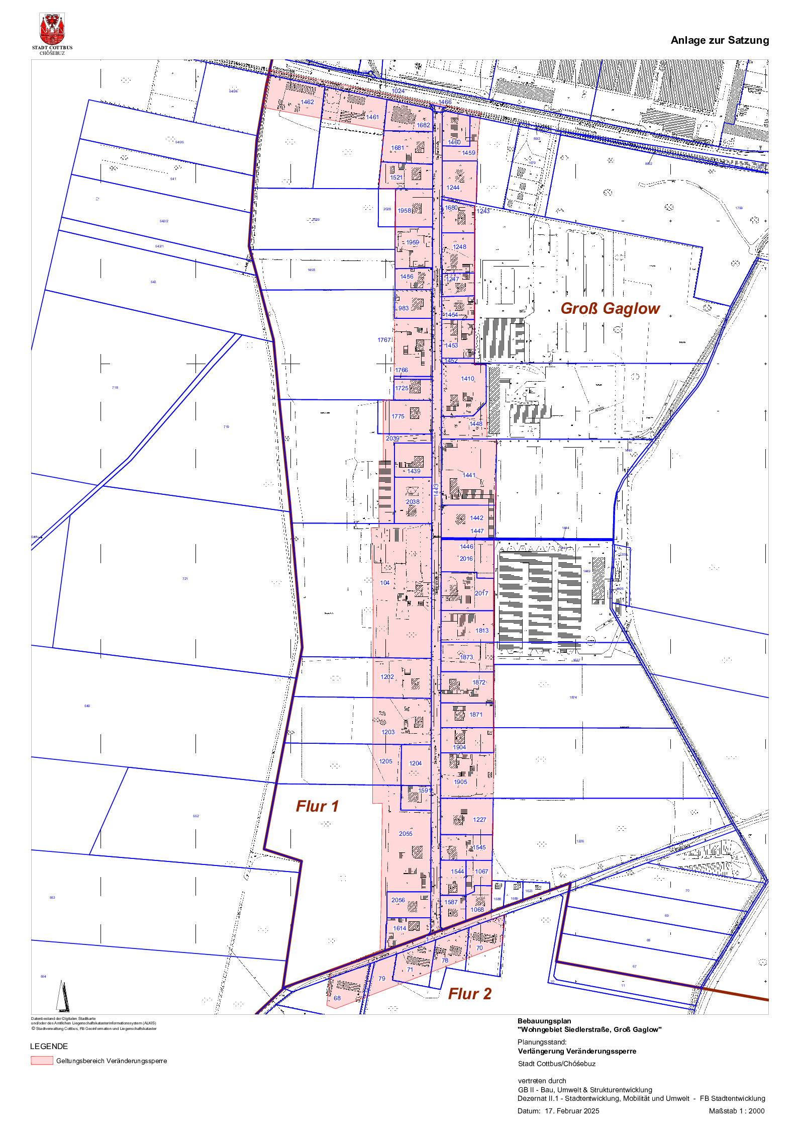
Der Geltungsbereich der Satzung befindet sich im Ortsteil Groß Gaglow im Bereich der Siedlerstraße (siehe kartenmäßige Darstellung).

Jedermann kann die Satzung über die Verlängerung der Veränderungssperre ab dem 19.05.2025 im Fachbereich Stadtentwicklung, Technisches Rathaus, Karl-Marx-Straße 67, im Zimmer 4.068 während der öffentlichen Sprechstunden einsehen und Auskunft über den Inhalt verlangen.

Ergänzend ist die Satzung jederzeit im Internet unter www.cottbus.de/bauplanung abrufbar.

Hinweise:

Nach § 215 Abs. 1 BauGB ist eine nach § 214 Abs. 1 BauGB beachtliche Verletzung der dort bezeichneten Verfahrens- und Formvorschriften unbeachtlich, wenn sie nicht innerhalb eines Jahres seit dieser Bekanntmachung schriftlich gegenüber der Stadt Cottbus/Chóśebuz  unter Darlegung des die Verletzung begründenden Sachverhalts geltend gemacht worden ist.

Auf die Vorschriften des § 18 Abs. 2 Satz 2 und 3 BauGB über die Geltendmachung etwaiger Entschädigungsansprüche für eingetretene Vermögensnachteile durch die Veränderungssperre nach § 18 BauGB und des § 18 Abs. 3 BauGB über das Erlöschen der Entschädigungsansprüche bei nicht fristgemäßer Geltendmachung wird hingewiesen.

Veränderungssperre Siedlerstraße, Groß Gaglow, Geltungsbereich

Satzung 1. Verlängerung