
Die Stadtverordnetenversammlung der Stadt Cottbus/Chóśebuz hat in ihrer Sitzung am 28.09.2022 den Entwurf des Bebauungsplanes „Kolkwitzer Straße Süd 1“ sowie den Entwurf der 11. Änderung des Flächennutzungsplanes einschließlich der zugehörigen Begründungen in der Fassung vom 21.07.2022 gebilligt und die öffentliche Auslegung gemäß § 3 Abs. 2 Baugesetzbuch (BauGB) beschlossen.
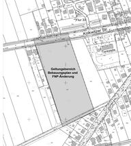
Mit der Durchführung der Bauleitplanverfahren werden die planungsrechtlichen Zulässigkeitsvoraussetzungen für die Errichtung eines Wohngebietes geschaffen.Der räumliche Geltungsbereich der Bauleitpläne umfasst eine Fläche von 2,3 ha im Ortsteil Ströbitz südlich der Kolkwitzer Straße, westlich der Tankstelle. Die städtebauliche Zielstellung sieht die Entwicklung eines allgemeinen Wohngebietes mit straßenbegleitenden Mehrfamilienhäusern an der Kolkwitzer Straße und kleinteiliger Bebauung im Quartiersinneren vor.
Von der Planaufstellung berührt sind die in Privatbesitz befindlichen Flurstücke 340 und 342 (Flur 32) sowie Teile der kommunalen Straßenflurstücke 350 und 351 (Kolkwitzer Straße (Flur 32) sowie 245 (Klein Ströbitzer Straße (Flur 31)).
Der Entwurf des Bebauungsplanes wird mit der zugehörigen Begründung und weiteren umweltbezogenen Informationen öffentlich ausgelegt. Zeitgleich wird der Entwurf der 11. Änderung der Änderung des Flächennutzungsplanes öffentlich ausgelegt.
Diese öffentlichen Auslegungen erfolgen auf Grundlage von § 3 Abs. 1 des Planungssicherstellungsgesetzes (PlanSiG) durch die Veröffentlichung der Planunterlagen im Internet. Entsprechend werden die vorgenannten Dokumente vom 01.11.2022 bis einschließlich 30.11.2022 im Internet an dieser Stelle zur Einsichtnahme bereitgestellt.
Während dieser Zeit können zu den Auslegungsunterlagen Anregungen und Hinweise vorgebracht werden. Diese sind bis spätestens 05.12.2022 (Posteingang) an den Fachbereich Stadtentwicklung der Stadtverwaltung Cottbus/Chóśebuz, Technisches Rathaus, Karl-Marx-Straße 67, 03044 Cottbus zu senden. Ferner besteht die Möglichkeit der Abgabe von Stellungnahmen per E-Mail unter der Adresse Bauplanung@Cottbus.de .
Die Verarbeitung personenbezogener Daten erfolgt auf Grundlage des § 3 BauGB in Verbindung mit Art. 6 Abs. 1 Buchst. e Datenschutz-Grundverordnung (DSGVO) und dem Brandenburgischen Datenschutzgesetz (BbgDSG). Sofern Sie Ihre Stellungnahme ohne Absender abgeben, erhalten Sie keine Mitteilung über das Ergebnis der Abwägung.
Weitere Informationen entnehmen Sie bitte dem Formblatt Informationspflichten bei der Erhebung von Daten im Rahmen der Öffentlichkeitsbeteiligung nach BauGB (Art. 13 DSGVO).
Die entsprechenden amtlichen Bekanntmachungen sowie die Auslegungsunterlagen stehen hier zum Download zur Verfügung.
Entwurf Bebauungsplan „Kolkwitzer Straße Süd 1“
- Bekanntmachung Offenlage B-Plan Kolkwitzer Süd 1 ‧ PDF ‧ 289.14 KByte ‧ 28.10.2022
- Bebauungsplan Kolkwitzer Straße Süd 1 – Entwurf Planzeichnung ‧ PDF ‧ 10.22 MByte ‧ 28.10.2022
- Bebauungsplan Kolkwitzer Straße Süd 1 – Entwurf Begründung mit Umweltbericht + FB Artenschutz ‧ PDF ‧ 11.73 MByte ‧ 28.10.2022
- Bebauungsplan Kolkwitzer Straße Süd 1 – Schalltechnisches Gutachten ‧ PDF ‧ 5.01 MByte ‧ 28.10.2022
- B-Plan Kolkwitzer Süd 1 – Stellungnahme UNB vom 24.06.2022 ‧ PDF ‧ 417.40 KByte ‧ 28.10.2022
Entwurf 11. Änderung FNP
- Bekanntmachung Offenlage 11. FNP-Änderung Kolkwitzer Süd 1 ‧ PDF ‧ 267.23 KByte ‧ 28.10.2022
- 11. Änderung FNP – Entwurf Planzeichnung ‧ PDF ‧ 2.92 MByte ‧ 28.10.2022
- 11. Änderung FNP – Entwurf Begründung ‧ PDF ‧ 103.79 KByte ‧ 28.10.2022